加古川市尾上町長田(全4区)土地 2号地
価格
1,160
万円
種別
売地
面積
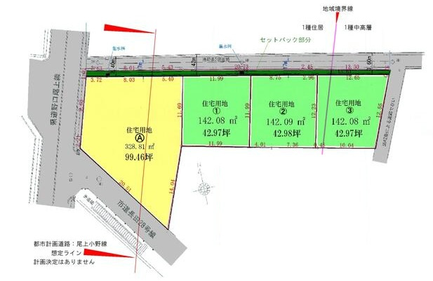
142.09㎡
坪数
42.98坪
住所
兵庫県加古川市尾上町長田
交通
浜の宮駅
徒歩14分
担当者のコメント
岡村典明
山陽電鉄浜の宮駅まで徒歩14分です。
ラ・ムー、マルアイ、アリオ加古川、ライフォート、ナフコ等が近くにあります。
尾上小学校まで徒歩5分、浜の宮中学校まで徒歩20分。
幹線道路に近い立地です。
加古川市 明石市 高砂市 加古郡 姫路市の不動産情報なら きこう にお任せ。フリーダイヤル0120-928-028
外観
建築条件がありませんのでお好きなハウスメーカー建築していただけます。
土地図
2号地 約42.9坪です。
地図
山電「浜の宮」駅まで徒歩約14分です。
周辺
浜の宮小学校、浜の宮中学校のエリアです。
周辺
周辺
周辺