有限会社輝広 TOP > (土地(売買))地域から探す > 加古川市 > 加古川市尾上町長田(全4区)土地 A号地
・建築条件なし
・山陽電鉄浜の宮駅徒歩14分
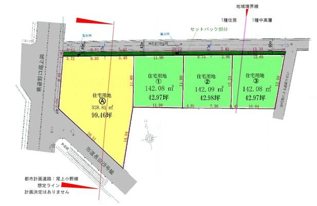
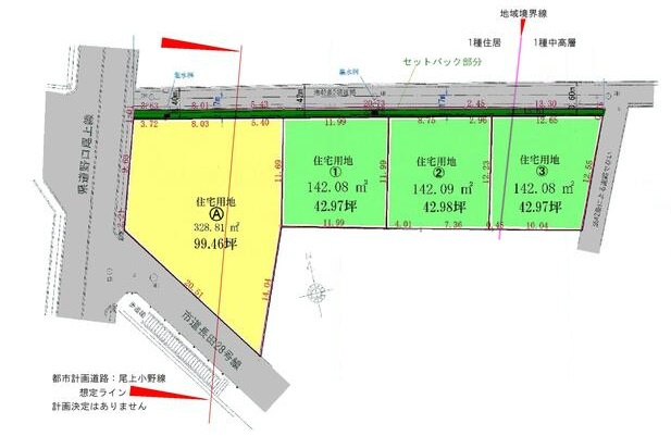
・敷地約99.46坪
・尾上小学校、浜の宮中学校











(※元利均等方式 金利5.00%まで ※返済年数5~50年まで入力できます)
(※ボーナスは年2回で計算しています。1000万円まで入力できます)
(※物件購入時、その他諸費用が発生する場合がございます)
※地図上に表示される物件の位置は付近住所に所在することを表すものであり、実際の物件所在地とは異なる場合がございます。
| 物件名 | 加古川市尾上町長田(全4区)土地 A号地 | ||
|---|---|---|---|
| 所在地 | 兵庫県加古川市尾上町長田 | ||
| 交通 |
|
||
| 接道状況 | 三方(西 公道)(北東 3.6m)(南西) | ||
| 価格 | 2,880万円 | 私道面積 | - |
| 土地権利 | 所有権 | 土地面積 | 328.81㎡ |
| 坪数 | 99.46坪 | 坪単価 | 28.96万円 |
| 地目 | 宅地 | 地勢 | 平坦 |
| 建築条件 | 無 | セットバック | - |
| 都市計画 | 市街化区域 | 用途地域 | 第一種住居 |
| 建ぺい率 | 60% | 容積率 | 200% |
| 国土法届出要否 | 不要 | その他の法令上の制限 | - |
| 取引態様 | 仲介 | 現況 | - |
| 引渡時期 | 期日指定 | 引渡条件 | - |
| 最適用途 | 住宅用地 | ||
| 設備条件 |
|
||
| 備考 |
ご家族の夢を自由に叶える建築条件なし物件です。お好きな間取りでスタイルにあった新生活をはじめましょう。 完成宅地でのお渡しです。 セットバック済。 現地いつでもご案内いたしますのでぜひご覧ください。 |
||
| QRコード |
このQRコードを読み取ることで、スマホでも物件情報を確認できます。 |
||