有限会社輝広 TOP > (土地(売買))地域から探す > 明石市 > 明石市大久保町山手台2丁目 土地
・有効宅地約73坪
・建築条件なし
・山手台南バス停1分
・前面道路6m
・高丘西小学校、高丘中学校











(※元利均等方式 金利5.00%まで ※返済年数5~50年まで入力できます)
(※ボーナスは年2回で計算しています。1000万円まで入力できます)
(※物件購入時、その他諸費用が発生する場合がございます)
※地図上に表示される物件の位置は付近住所に所在することを表すものであり、実際の物件所在地とは異なる場合がございます。
| 物件名 | 明石市大久保町山手台2丁目 土地 | ||
|---|---|---|---|
| 所在地 | 兵庫県明石市大久保町山手台2丁目 | ||
| 交通 |
|
||
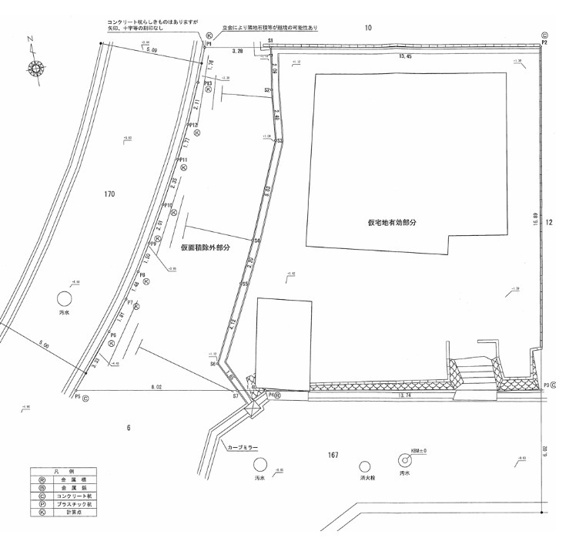
| 接道状況 | 一方(南 公道 6.0m 間口 21.0m) | ||
| 価格 | 2,480万円 | 私道面積 | - |
| 土地権利 | 所有権 | 土地面積 | 327.51㎡ |
| 坪数 | 99.07坪 | 坪単価 | 25.03万円 |
| 地目 | 宅地 | 地勢 | - |
| 建築条件 | 無 | セットバック | - |
| 都市計画 | 市街化区域 | 用途地域 | 第一種低層住居専用 |
| 建ぺい率 | 50% | 容積率 | 100% |
| 国土法届出要否 | 不要 | その他の法令上の制限 | 高度地区 |
| 取引態様 | 仲介 | 現況 | 古家有 |
| 引渡時期 | 相談 | 引渡条件 | 現況渡 |
| 最適用途 | 住宅用地 | ||
| 設備条件 |
|
||
| 備考 |
有効宅地広々約73坪の土地でガーデニングや家庭菜園はいかがですか。 ご家族の夢を自由に叶える建築条件なし物件です。お好きな間取りでスタイルにあった新生活をはじめましょう。 駐車苦手な方にも嬉しい幅員6mの前面道路に面しています。 現地いつでもご案内いたしますのでぜひご覧ください。 |
||
| QRコード |
このQRコードを読み取ることで、スマホでも物件情報を確認できます。 |
||